$2,675,807.39
Baxter, MN 56425
MLS# 6483114
Status: Closed

1 / 6
Property Description
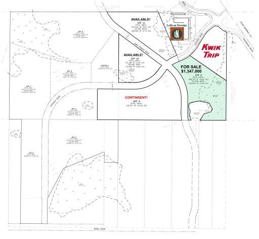
Prime commercial acreage located along the busy Hwy 371 corridor in Baxter. Multiple sites available for restaurant, retail or office-service businesses. Locate in a premier commercial neighborhood with high visibility, easy access and excellent exposure. Close to large hotels and several new retailers, including Kwik Trip. The neighboring development is the Lofts on Novotny, which is a new 3-story 64-unit luxury apartment building with numerous amenities! Other neighboring sites are pending potential development.
Details
Maps
Contract Information
Owner is an Agent?: No
Auction?: No
Status: Closed
Off Market Date: 2025-12-31
Contingency: None
Current Price: $2,675,807.39
Closed Date: 2025-12-30
Original List Price: 1347000
Sales Close Price: 2675807.39
ListPrice: 2700000
List Date: 2024-01-30
Office/Member Info
Association: GLAR
MLSID: RMLS
General Property Information
Comp Sale YN: No
Development: No
Lot Measurement: Acres
Multiple PIDs?: Yes
Plat Recorded: Yes
Waterfront Present: No
Yearly/Seasonal: Yearly
Zoning: Business/Commercial
Lot Dimensions: Irregular
Acres: 10.99
Association Fee: 0
Location, Tax and Other Information
AssocFeeYN: No
Legal Description: Preliminary Plat Lot 1 of PID40310675
Listing City: Baxter
Map Page: 999
Municipality: Baxter
Rental License?: No
School District: Brainerd
School District Phone: 218-454-6900
Property ID Number: 2
Tax Year: 2025
Tax Amount: 0
In Foreclosure?: No
Potential Short Sale?: No
Lender Owned?: No
Directions & Remarks
Public Remarks: Prime commercial acreage located along the busy Hwy 371 corridor in Baxter. Multiple sites available for restaurant, retail or office-service businesses. Locate in a premier commercial neighborhood with high visibility, easy access and excellent exposure. Close to large hotels and several new retailers, including Kwik Trip. The neighboring development is the Lofts on Novotny, which is a new 3-story 64-unit luxury apartment building with numerous amenities! Other neighboring sites are pending potential development.
Directions: From Hwy 210/371 intersection in Baxter - North on Hwy 371 - West on Novotny Road - Property is straight ahead, on the South side of Novotny Road
Additional Parcels Information
Property ID #2: 40310588
Assessments
Assessment Balance: 0
Tax With Assessments: 0
Builder Information
Builder Restrictions: Open
Development Status
Raw Land: 1
Financing Terms
Cash: 1
Insurance Fee
Insurance Fee: 0
Lease Details
Land Leased: Not Applicable
Lot Description
Irregular Lot: 1
Miscellaneous Information
Homestead: No
Ownership
Fractional Ownership: No
Public Survey Info
Range#: 28
Section#: 31
Township#: 134
Restriction/Covenants
None: 1
Road Frontage
City Street: 1
Paved Streets: 1
Topography
High Ground: 1
Level: 1
Low Land: 1
Available Utilities
Broadband Available: 1
Cable Available: 1
Electricity Available: 1
Natural Gas Available: 1
None Connected: 1
Phone Available: 1
Sewer Available: 1
Water Available: 1
Improvements
Paved Streets: 1
Public Road: 1
Land Inclusions
None: 1
Location Tax and Other Information
House Number: 10.99 AC
Street Name: Edgewood
Street Suffix: Drive
Postal City: Baxter
County: Crow Wing
State: MN
Zip Code: 56425
Complex/Dev/Subdivision: The Lofts at Novotny
Property Features
Available Utilities: Broadband Available; Cable Available; Electricity Available; Natural Gas Available; None Connected; Phone Available; Sewer Available; Water Available
Development Status: Raw Land
Financing Terms: Cash
Improvements: Paved Streets; Public Road
Land Inclusions: None
Lot Description: Irregular Lot
Road Frontage: City Street; Paved Streets
Topography: High Ground; Level; Low Land
Listing Office: Close-Converse Commercial Prop
Last Updated: December - 31 - 2025
The data relating to real estate for sale on this web site comes in part from the Broker Reciprocity SM Program of the Regional Multiple Listing Service of Minnesota, Inc. The information provided is deemed reliable but not guaranteed. Properties subject to prior sale, change or withdrawal. ©2024 Regional Multiple Listing Service of Minnesota, Inc All rights reserved.
